
Matrix™ pracuje s pokročilou radiofrekvenčnou technológiou, ktorá umožňuje presne regulovať tepelnú energiu v rôznych hĺbkach pokožky. Tým sa aktivujú regeneračné procesy, ktoré podporujú obnovu štruktúry, zlepšenie elasticity a výrazné spevnenie kontúr tváre.
Tento systém je navrhnutý tak, aby ponúkal mimoriadnu všestrannosť: umožňuje riešiť jemné linky, stratu tonusu aj štrukturálne zmeny spôsobené starnutím. Ošetrenie je komfortné, vysoko efektívne a vhodné pre pacientov, ktorí hľadajú viditeľné výsledky bez invazívnych zákrokov.
Matrix™ tak prináša kombináciu výkonu, bezpečnosti a dlhodobých účinkov, vďaka ktorým predstavuje ideálnu technológiu pre moderné estetické kliniky.

Matrix™ od Candely prináša novú generáciu neinvazívnej rejuvenácie, ktorá využíva inteligentnú radiofrekvenčnú energiu na presné cielenie do hlbších vrstiev pokožky. Technológia umožňuje kontrolovanú obnovu kolagénových vlákien, zlepšenie pevnosti a celkovej vitality pleti — a to všetko bez výraznej záťaže a s minimálnou dobou zotavenia.
Pokročilý systém distribúcie energie pracuje s rôznymi úrovňami tkanív, čo umožňuje riešiť známky starnutia, stratu elasticity, nerovnomerný tón a ochabnutú pleť. Ošetrenie podporuje prirodzené regeneračné procesy, zvyšuje pružnosť pokožky a prispieva k jej dlhodobému spevneniu.
Výsledkom je viditeľne revitalizovaná, zjednotená a mladistvejšia pleť, ktorá pôsobí sviežo a prirodzene.
Matrix™ aktivuje postupné spevnenie a vypnutie pleti, čo vedie k prirodzenému liftingovému efektu bez potreby invazívnych zákrokov.
Ošetrenie podporuje obnovu podporných tkanív, čo výrazne zlepšuje jemnosť, rovnomernosť a celkovú textúru pokožky.
Systém kontroly teploty umožňuje šetrné ošetrenie, ktoré minimalizuje riziko podráždenia a je vhodné aj pre citlivé typy pleti.
Kolagénová obnova prebieha niekoľko týždňov po zákroku, čo zabezpečuje výrazné a stabilné výsledky s dlhodobým účinkom.
Široké spektrum využitia, vysoká spokojnosť pacientov a výborná efektivita robia z Matrix™ prístroj s excelentnou návratnosťou investície.


Bezihlová RF technológia aplikátora Sublative RF prenáša presne riadenú tepelnú energiu do dermis, kde viacelektródové pole vytvára kontrolované mikroškody pod povrchom pleti. Tieto mikroinjury aktivujú tvorbu kolagénu a podporujú remodeling tkanív, zatiaľ čo vrchná vrstva kože zostáva z väčšej časti nedotknutá. Ošetrenie je ideálne na redukciu jemných liniek, vrások, hrubšej textúry a nerovnomerného tónu pleti – a to s minimálnym narušením epidermis a veľmi krátkou dobou rekonvalescencie.

Aplikátor Sublime kombinuje IR světlo a RF energii pro jemné, ale intenzivní zahřátí dermis, které okamžitě vyhlazuje a zpevňuje pleť bez nutnosti jakéhokoli výpadku. Toto hloubkové působení stimuluje tvorbu kolagenu a podporuje remodelaci dermálních struktur, díky čemuž je ošetření vysoce účinné při neinvazivní redukci vrásek a dodání přirozeného objemu pleti.
Rozmery
42 cm × 38 cm × 52 cm
RF frekvence
1–2 MHz (RF)
Hmotnosť
22 kg (podľa konfigurácie)
Hĺbka mikroneedlingu
0,3–3,5 mm (nastaviteľná po krokoch)
Napájanie
100–240 V, 50/60 Hz
Displej
7″ farebný dotykový panel
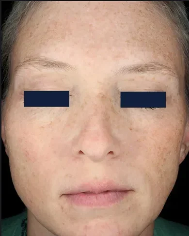
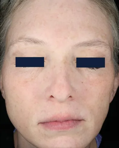
Ošetrenie Matrix™ prináša okamžité spevnenie, vyhladenie a rozjasnenie pleti. Textúra je rovnomernejšia, pleť pôsobí pevnejšie a sviežejšie už po jedinej návšteve.
Vďaka intenzívnej stimulácii kolagénu dochádza k postupnej obnove štruktúry pleti, redukcii jemných liniek a zlepšeniu elasticity. Výsledkom je hladšia, pružnejšia a mladistvejšie vyzerajúca pokožka s dlhodobo viditeľným efektom.
+421 908 468 302
info@beautymed.sk
Konventná 7, 811 03 Bratislava
Otváracia doba:
Od pondelka do piatku
9:00 - 18:00
Copyright 2026 | All Rights Reserved | Beauty-Med Slovakia s.r.o

od 1.1. 2026 sme oficiálnym distrubútorom značky Candela.
Vyplňte formulár nižšie a náš obchodný zástupca sa Vám ozve do 2 pracovných dní




Vyplňte formulár nižšie a náš obchodný zástupca sa Vám ozve do 2 pracovných dní

Od 1. januára 2026 je naša spoločnosť oficiálnym distribútorom portfólia Candela na Slovensku. Kontaktujte nás pre bližšie informácie alebo individuálnu ponuku.